2012.11.03
シュノーケルコース☆佐藤さん山下さん☆
本日は社員旅行で沖縄にいらっしゃった
佐藤さん山下さんと一緒に海に入ってきましたよ~♪

二人とも気合が入って泳ぐ気満々!!!さぁ~海へ!!!

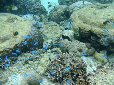
たくさんのルリスズメダイがお迎えしてくれましたよ~(^^

二人共餌あげに夢中で私が呼んでも聞こえてないくらい・・笑

お帰りの時には少しお疲れの様子でしたが、ガッツリ泳いで気持ち良い疲れですね(uu
次回は皆さんでのダイビング挑戦おまちしてますよ~☆また遊びにきてください(^^
本日はご参加ありがとうございました!!!







